

Quercus petraea Purpurea - Wintereik


Quercus petraea Purpurea - Wintereik


Quercus petraea Purpurea - Wintereik
Quercus petraea Purpurea - Wintereik
Quercus petraea Purpurea
Wintereik
In stock substitutable products for Quercus petraea Purpurea - Wintereik
Bekijk alles →This plant benefits a 24 months rooting warranty
Meer informatie
Wij garanderen de kwaliteit van onze planten gedurende een volledige groeicyclus.
Wij vervangen op onze kosten elke plant die niet is aangeslagen onder normale klimatologische en plantomstandigheden
Does this plant fit my garden?
Set up your Plantfit profile →
Description of Quercus petraea Purpurea - Wintereik
De Quercus petraea 'Purpurea' is een paarse vorm van de wintereik, ook wel steeneik genoemd, die zeer zeldzaam is in cultuur. Deze boom onderscheidt zich van de soort door zijn nog langzamere groei en zijn prachtige blad dat varieert van grijs tot paars en paarsgroen. Met een massieve stam draagt hij een brede kruin en dikke, kronkelige takken die laag aan de stam zitten. Zijn zeer mooie, bladverliezende loof biedt in de zomer een aangename schaduw, al zullen het vooral de volgende generaties zijn die daarvan profiteren. Interessant voor het kleine wild; zijn eikels zijn een lekkernij voor veel dieren. Een echte verzamelboom die liefhebbers zal verrukken!
De Quercus petraea 'Purpurea' is een natuurlijke mutatie van de wintereik. Deze laatste, die afhankelijk van de streek ook de namen zomereik, steeneik of zwarte eik draagt, behoort tot de familie van de Fagaceae. Hij is afkomstig uit een groot deel van gematigd Europa, zeer algemeen in Frankrijk, met uitzondering van het Middellandse Zeegebied en het uiterste zuidwesten. Hij houdt van een sub-oceanisch tot oceanisch of continentaal klimaat, zonder extremen en niet te droog. Het is een spontane soort van heuvels en lage bergen, waar hij tot op 1600 meter hoogte voorkomt. Toleranter dan de zomereik en in staat om op stenige bodems, licht kalkhoudende en af en toe droge grond te groeien, geeft hij toch de voorkeur aan lemig-zandige grond met een neutrale of zure tendens, die fris, diep en waterdoorlatend is.
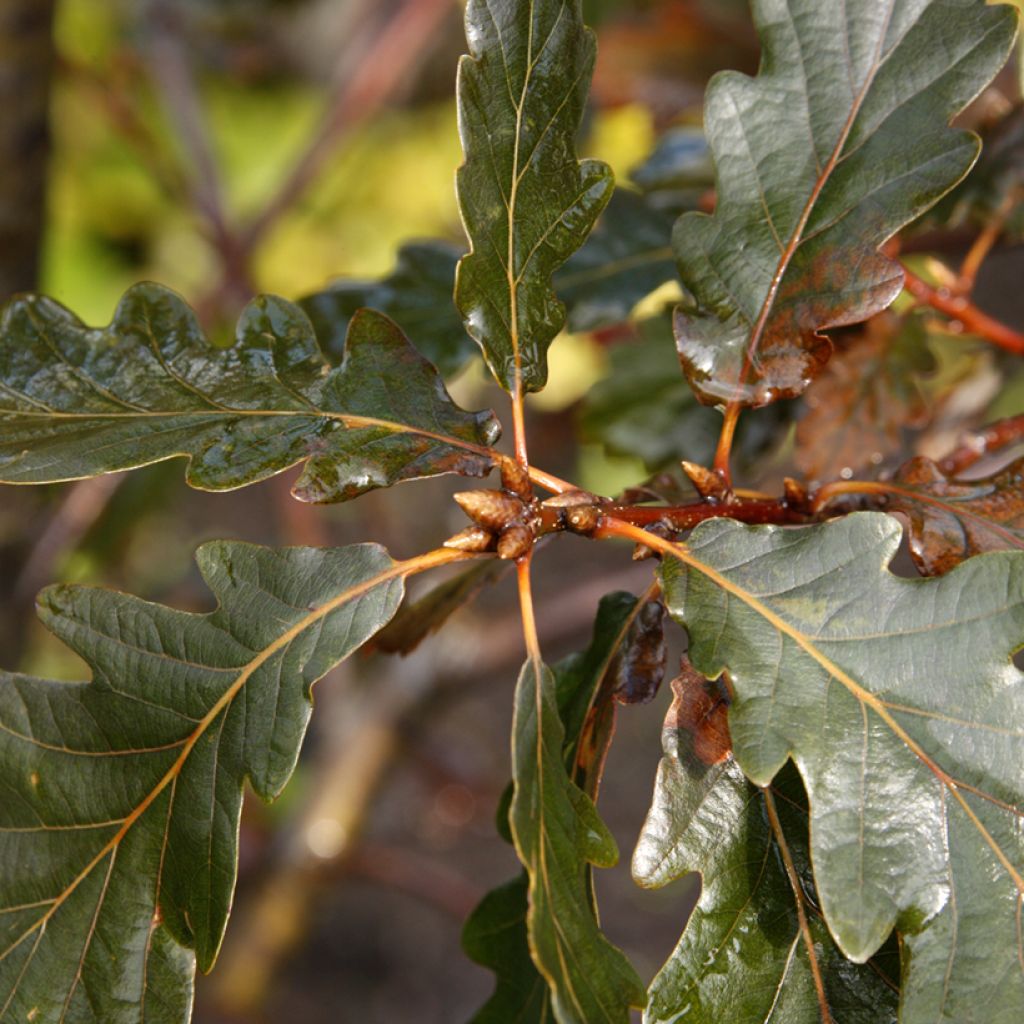
De Quercus petraea 'Purpurea' groeit langzaam. Uiteindelijk bereikt hij doorgaans een hoogte van 15 meter. In theorie kan deze eik eeuwenoud worden. Bladverliezende eiken hebben het voordeel dat ze goede, overvloedige humus produceren, wat gunstig is voor de groei van planten die onder hun dekking ontkiemen. Zijn habitus is vrij massief, iets minder breed dan hoog. De stam, vrij kort, is bedekt met een schors die eerst groen en glad is, later donker, dik en licht gebarsten wordt. De kroon heeft een onregelmatige, ovale, afgeronde en open vorm. Zijn jonge twijgen zijn kaal, grijsbruin van kleur en glanzend. Het loof, dat laat bladverliezend is, bestaat uit langgesteelde, afwisselend geplaatste, zachte, omgekeerd eivormige bladeren die 5 tot 15 cm lang en 3 tot 8 cm breed kunnen worden. Elk blad is verdeeld in 9 tot 12 onopvallende, onregelmatige, afgeronde lobben, gescheiden door relatief diepe insnijdingen. De kleur van het bladmoes gaat van grijs naar paars en vervolgens naar paarsgroen, waarbij de onderkant lichter is. De bladeren worden bruin, vrij laat in het najaar, en blijven nog een tijdje aan de twijgen hangen voordat ze vallen. De bloei van deze eik vindt plaats in april-mei, kort na het verschijnen van het loof, op de eenjarige scheuten. De vrouwelijke bloemen zitten in een napje dat direct aan de twijg vastzit: dit onderscheidende kenmerk is de oorsprong van de soortnaam 'sessile' (zittend). De mannelijke bloeiwijzen zijn langwerpige, hangende katjes met een gele tint. Ze worden geproduceerd aan de basis van de eenjarige scheuten. De vrouwelijke bloemen, in de bladoksel, maken plaats voor eivormige, langwerpige eikels van 1,5 tot 3 cm lang. Ze staan vaak met 2 of 3 bij elkaar, direct op de twijgen. Een napje bedekt met schubben bedekt een derde van de eikel. De kleur verandert van groen naar bruin bij rijpheid, in september en oktober. Het wortelstelsel van deze boom is diep en krachtig, zowel penwortelend als zeer uitgebreid, wat zorgt voor een stevige en duurzame verankering in diepe, zandige bodems.
De paarse wintereik is een boom die het middelpunt wordt van een park of een grote tuin. Plant hem solitaire. Prachtig van loof, heeft hij het voordeel dat hij voor aangename schaduw zorgt. Als bladverliezende boom laat hij in de winter het licht weer toe. Zijn vruchten voeden kleine dieren zoals eekhoorns en gaaien. Om hem te begeleiden, kies bijvoorbeeld voor een bonte veldesdoorn 'Carnival', een plataan 'El Gordo' of een linde 'Greenspire'. Het wortelstelsel van eiken, dat nogal de diepte in gaat, maakt het mogelijk om planten aan hun voet te plaatsen: denk bijvoorbeeld aan acanthus, Trachystemon orientalis, maagdenpalm, napolitaans cyclaam, Liriope muscari...
{$dispatch("open-modal-content", "#customer-report");}, text: "Please login to report the error." })' class="flex justify-end items-center gap-1 mt-8 mb-12 text-sm cursor-pointer" > Report an error
Plant habit
Flowering
Foliage
Botanical data
Quercus
petraea
Purpurea
Fagaceae
Wintereik
Quercus petraea f. purpurea
West-Europa
Other Eik - Quercus
Bekijk alles →Planting of Quercus petraea Purpurea - Wintereik
De Quercus petraea 'Purpurea' groeit in gewone tuingrond, maar deze moet wel diep, koel van onderen, bij voorkeur drainerend, zanderig en lemig zijn, en neutraal of licht zuur. Het is echter een meegaande eik, die ook in minder gunstige bodems kan groeien, zoals kleiachtige grond als deze goed drainerend is, of steenachtige en licht kalkhoudende grond als deze diep is. Stagnant water wordt niet verdragen. Eenmaal gevestigd, kan deze diepgewortelde boom relatief droge zomers aan en heeft dan helemaal geen extra water nodig. Deze eik doet het vrijwel overal goed, behalve in zeer warme, mediterrane streken en in het uiterste zuidwesten. Hij staat graag op frisse, maar goed gedraineerde plekken, waar de groei sneller zal zijn. Een zonnige en open standplaats heeft de voorkeur. Plaats een stevige boompaal om hem op weg te helpen, geef regelmatig water in het begin en laat de natuur daarna haar werk doen. Dit is een boom die, eenmaal aangeslagen, zeer weinig onderhoud vraagt, behalve het weghalen van dood hout. Hij is weinig vatbaar voor ziektes; alleen echte meeldauw op het loof is iets om in de gaten te houden.
When to plant?
Where to plant?
Care
This item has not been reviewed yet; be the first to leave your review about it.
Similar products
You have not found what you were looking for?
Hardiness (definition)
De zaaitijden die op onze website worden vermeld, gelden voor landen en regio's in USDA-zone 8 (Frankrijk, Verenigd Koninkrijk, Ierland, Nederland).
In koudere regio's (Scandinavië, Polen, Oostenrijk...) moet u het zaaien in de volle grond 3 tot 4 weken uitstellen of in een kas zaaien.
In warmere klimaten (Italië, Spanje, Griekenland, enz.) moet u het zaaien in de volle grond enkele weken vervroegen.
De oogstperiode die op onze website wordt vermeld, geldt voor landen en regio's in USDA-zone 8 (Frankrijk, Engeland, Ierland, Nederland).
In koudere gebieden (Scandinavië, Polen, Oostenrijk...) zal de oogst van fruit en groenten waarschijnlijk 3-4 weken later plaatsvinden.
In warmere gebieden (Italië, Spanje, Griekenland, enz.) zal de oogst waarschijnlijk eerder plaatsvinden, afhankelijk van de weersomstandigheden.
De plantperiode die op onze website wordt aangegeven, geldt voor landen en regio's in USDA-zone 8 (Frankrijk, Verenigd Koninkrijk, Ierland, Nederland).
Deze varieert afhankelijk van uw woonplaats:
- In mediterrane gebieden (Marseille, Madrid, Milaan, enz.) zijn de herfst en winter de beste plantperiodes.
- In continentale gebieden (Straatsburg, München, Wenen, enz.) moet u het planten in het voorjaar 2 tot 3 weken uitstellen en in het najaar 2 tot 4 weken vervroegen.
- In bergachtige gebieden (Alpen, Pyreneeën, Karpaten, enz.) kunt u het beste aan het einde van de lente (mei-juni) of aan het einde van de zomer (augustus-september) planten.
In gematigde klimaten moeten voorjaarsbloeiende struiken (forsythia, spireas, enz.) direct na de bloei worden gesnoeid.
Zomerbloeiende struiken (Indische sering, Perovskia, enz.) kunnen in de winter of het voorjaar worden gesnoeid.
In koude regio's en bij vorstgevoelige planten moet u te vroeg snoeien vermijden wanneer er nog strenge vorst kan optreden.
De bloeiperiode die op onze website wordt aangegeven, geldt voor landen en regio's in USDA-zone 8 (Frankrijk, het Verenigd Koninkrijk, Ierland, Nederland, enz.)
Deze kan variëren naargelang uw woonplaats:
- In zones 9 tot 10 (Italië, Spanje, Griekenland, enz.) zal de bloei ongeveer 2 tot 4 weken eerder plaatsvinden.
- In zones 6 tot 7 (Duitsland, Polen, Slovenië en lagere berggebieden) zal de bloei 2 tot 3 weken later plaatsvinden.
- In zone 5 (Midden-Europa, Scandinavië) zal de bloei 3 tot 5 weken later plaatsvinden.














